空き家・空き地の詳細情報 【掲載情報の最終確認は、当事者間の契約の中で行ってください】
| 登録番号 | 02958 この物件をお気に入りへ |
| 物件分類 | 空き地 | 区分 | 売買 |
| 現況 | 更地 |
| 引き渡し状況 | 即時 |
| 希望価格 | 3,150,000円/売却価格 |
| 敷金 | --- | 礼金 | --- |
| 共益費/管理費 | --- | 修繕積立金 | --- |
| 住宅保険 | --- |
| 地域 | 釧路総合振興局 管内 |
| 住所 | 釧路市 新富士町3丁目5-1 |
| 間取り | --- |
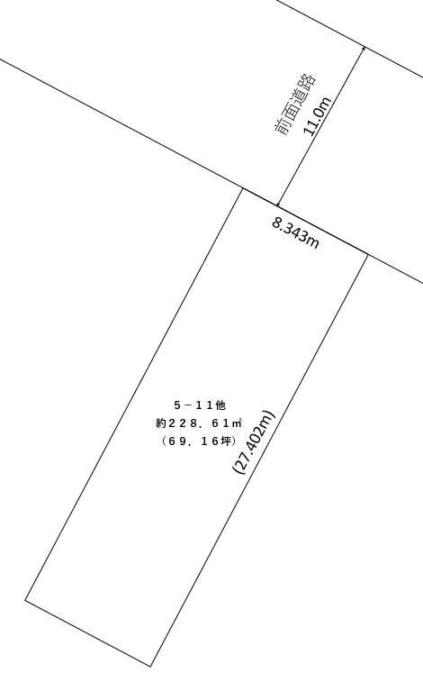
| 土地面積 | 780.25㎡(236坪) |
| 建物面積 | |
| 構造 | --- |
| 建築年 | --- |
| 増改築 | --- |
| リフォーム | --- |
| 敷地接続道路 | あり | 登記簿謄本 | |
| 法令等による制限 | なし |
| 耐震補強 | --- | 利用状況 | 利用者なし(5年) |
| 地目 | 宅地 |
| 都市計画 | 市街化区域 | 用途地域 | 第一種住居 |
| 物件アピール | 釧路ガス供給区域です。 |
| 備考 | 特記事項はありません。 |
| 留意事項 | |
| 交通1 | JR根室本線 新富士駅 徒歩6分 |
| 交通2 | |
| その他交通 | |
| 電気 | --- | ガス | --- |
| 風呂 | --- | 水道 | --- |
| 下水道 | --- | トイレ | --- |
| 洗面化粧台 | --- | 物置 | --- |
| 駐車場 | --- | 庭 | --- |
| 名称等 | 問合せ窓口:田辺 喜久 部署名:代表社員 電話番号:0155-66-6368
|
| 利用希望者の要件 |
・購入又は賃借する空き家に居住又は定期的に滞在し、定住や商業活動その他地域の活性化に寄与しようとする者
・購入又は賃借する空き地に住宅等を建築し 、定住や商業活動その他地域の活性化に寄与しようとする者
・購入又は賃借する空き家等の転売及び転貸を目的としない者
|